07 / 12 / 2025

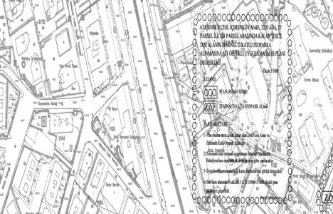
Ataşehir İçerenköy yeraltı otoparkı imar planı

Ataşehir İçerenköy yeraltı otoparkı imar planı

Ataşehir İçerenköy Mahallesi, 3220 ada, 17 parsel ile 128 parsel arasında kalan tescil dışı alanın Zeminaltı Katlı Otopark Alanı'na alınmasına ilişkin 1/5000 ve 1/1000 ölçekli imar planı 1 Mayıs 2014'te askıdan indiriliyor.

Ataşehir İçerenköy yeraltı otoparkı imar planı 1 Mayıs'ta askıdan indiriliyor!

Ataşehir İçerenköy Mahallesi, 256 pafta, 797 ada, 3 parselin Zeminaltı Katlı Otopark Alanı'na alınmasına ilişkin 1/5000 ve 1/1000 ölçekli Nazım ve Uygulama İmar Planı tadilatı, 1 Mayıs 2014'te askıdan indiriliyor. İşte o plan...

Ataşehir İçerenköy'de cami yanına yeraltı otoparkı imar planı askıda!

Ataşehir İçerenköy Mahallesi'nde dini tesis alanına komşu tescil dışı alanın Zeminaltı Katlı Otopark Alanı'na alınmasına ilişkin 1/5000 ve 1/1000 ölçekli imar plan tadilatı askıya çıkarıldı. İşte o planlar...

Ataşehir İçerenköy yeraltı otoparkı imar planı askıda!

Ataşehir İçerenköy Mahallesi'nde 3 parselin 'Zeminaltı Katlı Otopark Alanı'na alınmasına ilişkin 1/5000 ve 1/1000 ölçekli imar planları askıya çıkarıldı. İstanbul Büyükşehir Belediyesi, imar planlarını 17 Şubat 2014'te onayladı. İşte o planlar...

Otto Ataşehir’de 8 milyon 881 bin TL’den başlayan fiyatlarla! Hemen teslim!

Otto Ataşehir’de yer alan konutların fiyatları 8 milyon 881 TL’den başlıyor. Teslimleri hemen yapılan proje İstanbul Ataşehir’de yükseliyor. 

Ataşehir Modern'de yüzde 20 indirim ya da 0.79 faiz oranıyla 60 ay vade fırsatı!

İstanbul Anadolu Yakası Ataşehir'de yükselen Ataşehir Modern'de peşin ödemelerde yüzde 20 indirim sağlanırken, yüzde 25 peşinat ödendiğinde ise 0.79 faiz oranıyla 60 ay vade imkanından yararlanılabiliyor. 

Tahincioğlu Nidapark Ataşehir'de yüzde 30 indirim fırsatı!

Tahincioğlu Gayrimenkul imzası ile İstanbul Ataşehir'de inşa edilen Nidapark Ataşehir projesinde yüzde 30 indirim fırsatı sunuluyor. Ayrıca projeden konut sahibi olmak isteyenler peşin yerine vadeli ödeme planını tercih ederlerse 24 ay 0 faiz imkanından da yararlanabiliyor. 

İçerenköy Carrefour arazisindeki 1.402 konutluk yeni proje resmen başlıyor! 

Kalyon Kentsel Proje Yatırımları'nın iştiraki Kozyatağı İnşaat'ın Ataşehir İçerenköy'deki Carrefour arazisindeki yeni projesinin inşaatı resmen başlıyor. Geçtiğimiz günlerde kapalı satışa çıkan projede metrekare fiyatları 3 bin 600 dolar olarak belirtilmişti.

İçerenköy Carrefour arazisinde başlatılan 1.402 konutluk yeni projede kapalı satış başladı!

Kalyon Kentsel Proje Yatırımları'nın iştiraki Kozyatağı İnşaat'ın İstanbul Ataşehir İçerenköy'deki Carrefour arazisinde inşa edeceği yeni projesinde kapalı satışlar başladı. Kalyon ve Gülaylar Group'un ortak yürüttüğü satışta metrekare fiyatları 3 bin 600 dolardan başlıyor. 

Kozyatağı İnşaat'tan İçerenköy Carrefour arazisine 1.402 konutluk yeni proje!

Kozyatağı İnşaat, İstanbul Ataşehir İçerenköy'deki yeni projesi için düğmeye bastı. 6 milyar 178 milyon 563 bin TL'ye mal olması beklenen Kozyatağı İnşaat Ataşehir projesi İçerenköy Carrefour arazisinde yükselecek.

Ataşehir'de 40 yıllık imar sorunu: İçerenköy sakinleri imar haklarının geri verilmesini istiyor!

Ataşehir İçerenköy'de 40 yıllık imar sorununa mahalle sakinlerinden tepki geldi. İmar Mağdurları Platformu adı altında toplanan mahalleliler, imar haklarının ellerinden alındığını iddia etti ve taleplerini sıraladı. İşte mağdurların o açıklaması...

Nidapark Ataşehir'de yüzde 40 peşin 36 ay vade avantajı!

Tahincioğlu Gayrimenkul imzasıyla inşa edilen Nidapark Ataşehir projesinde yüzde 40 peşinat ile 36 ay vade avantajı devam ediyor. Nidapark Ataşehir'de konut fiyatları ne kadar? Hangi tip konutlar yer alıyor? İşte ayrıntılar...

Nidapark Ataşehir'de yüzde 40 peşinat ve 0.99 faizle ev sahibi olma fırsatı!

Tahincioğlu Gayrimenkul tarafından hayata geçirilen Nidapark Ataşehir yüzde 40 peşinat ve 0.99 faizle  ön satışa sunuldu. Peki Nidapark Ataşehir projesindeki konutların fiyatları ne kadar? İşte Nidapark Ataşehir fiyat listesi...

Nidakule Ataşehir 2020 yıl sonu değerleme raporu!

Emlak Konut GYO, "Nidakule Ataşehir" projesi ile ilgili olarak hazırlatılan 2020 yıl sonu değerleme raporunu yayınladı. 

Ataşehir İçerenköy imar bilgilendirme toplantısı yapıldı!

Uzun zamandır çözülemeyen Ataşehir İçerenköy Mahallesi’nin imar planlarıyla ilgili bir toplantı yapıldı.

Emlak Konut GYO Ataşehir 2019 yıl sonu değerleme raporu!

Emlak Konut Gayrimenkul Yatırım Ortaklığı Ataşehir İlçesi Parselleri ile ilgili olarak hazırlatılan 2019 yıl sonu değerleme raporunu yayınladı...

Nidakule Ataşehir 2019 yıl sonu revize değerleme raporu!

Emlak Konut Gayrimenkul Yatırım Ortaklığı tarafından Nidakule Ataşehir projesi 2019 yıl sonu revize gayrimenkul değerleme raporunu yayınladı...

Ataşehir İçerenköy yeraltı otoparkı imar planı Haberi

Ataşehir İçerenköy yeraltı otoparkı imar planı


Ataşehir İlçesi, İçerenköy Mahallesi, 3220 ada, 17 parsel ile 128 parsel arasında kalan tescil dışı alanın Zeminaltı Katlı Otopark Alanı'na alınmasına ilişkin 1/5000 ve 1/1000 ölçekli Nazım ve Uygulama İmar Planı tadilatı, İstanbul Büyükşehir Belediyesi tarafından 1 Mayıs 2014 Perşembe günü askıdan indiriliyor.


İstanbul Büyükşehir Belediyesi, 27822 dosya numaralı imar plan tadilatını 17 Şubat 2014'te onaylamış ve 1 Nisan 2014'te ilanen askıya çıkarmıştı. 


Ataşehir İçerenköy'de yeraltı otoparkı hakkında detaylar için tıklayın!Ataşehir İçerenköy'de yeraltı otoparkı imar planı için