Bursa Gemlik Kios Antik Kenti'nin arkeolojik sit derecesi değişti!
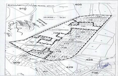
Bursa Gemlik'te yer alan Kios Antik Kenti'nin 713, 714, 715, 716, 717, 718, 719, 720, 721, 723, 724, 731, 732, 733 ve 799 adalardaki mevcut ve ruhsatlı yapılanmalar dikkate alınarak, sit derecesi değiştirildi...
BURSA KÜLTÜR VARLIKLARINI KORUMA BÖLGE KURULU
KARARI
16.01.1
Toplantı Tarihi ve No : 05.08.2014/158 Toplantı Yeri
Karar Tarihi ve No : 05.08.2014/3521 BURSA
Bursa ili, Gemlik ilçesi, Osmaniye mahallesinde, III. Derece Arkeolojik Sit alanındaki özel mülkiyete ait 720 ada- 1 ve 721 ada-38 parsellerde Bursa Müzesi Müdürlüğü uzmanları denetiminde gerçekleştirilen sondaj kazısı çalışmasının sonuçları, kazı çukurlarının kapatılması ve mevcut 3.derece Arkeolojik sit alanının bir kısmının sit derecesinin 1.derece Arkeolojik Sit olarak değiştirilmesi önerisinin değerlendirilmesine ilişkin Bursa Valiliği İl Kültür ve Turizm Müdürlüğünün 05.05.2014 gün ve 1495, 1552 ve 1550 sayılı yazıları, ilgililerinin 16.04.2014 günlü başvurusu ve Müdürlüğün 04.08.2014 gün ve 3963 sayılı raporu okundu, ekleri ve ilgili dosyası incelendi yapılan görüşmeler sonucunda;
Bursa ili, Gemlik ilçesi, Osmaniye mahallesinde, III. Derece Arkeolojik Sit alanındaki özel mülkiyete ait 720 ada-1 ve 721 ada-38 parsellerde Bursa Müzesi Müdürlüğü uzmanları denetiminde gerçekleştirilen sondaj kazısı çalışmasının sonucunda Hellenistik ve Roma dönemlerine ait ve önem arz eden kalıntı ve buluntulara rastlanılması nedeniyle yapılanmaya gidilmesinin uygun olmayacağına, kalıntıların zarar görmemesi ve can-mal güvenliği açılarından kazı çukurlarının geçici olarak tekniğine uygun şekilde Müze Müdürlüğü denetiminde kapatılabileceğine;
Müze Müdürlüğünce, arkeolojik potansiyel nedeniyle 1.derece Arkeolojik site dönüştürülmesi önerilen 713, 714, 715, 716, 717, 718, 719, 720, 721, 723, 724, 731, 732, 733 ve 799 adalardaki mevcut ve ruhsatlı yapılanmalar dikkate alınarak, kararımız eki paftada belirlendiği şekilde yapılaşmış durumdaki kısımların 2.derece, yapılaşma bulunmayan kısmının 1.derece olarak, arkeolojik sit derecesinin değiştirilmesine karar verildi.

