Egeşehir Sitesi 15 soruda tüm detaylarıyla!
Firma: Egeşehir Yapı Planlama
Proje: Egeşehir Sitesi
Egeşehir Sitesi nerede inşa ediliyor? Egeşehir Sitesi projesinde kaç konut var? Egeşehir Sitesi 15 soruda tüm detaylarıyla haberimizde yer alıyor. İşte Egeşehir Sitesi 15 soruda tüm detaylarıyla...
Egeşehir Sitesi tarafından hayata geçirilen Egeşehir Sitesi projesi için düğmeye basıldı. Peki, Egeşehir Sitesi nerede inşa ediliyor? Egeşehir Sitesi projesinde kaç konut var? Egeşehir Sitesi 15 soruda tüm detaylarıyla haberimizde yer alıyor. İşte Egeşehir Sitesi tüm detaylarıyla...
1) Egeşehir Sites nerede inşa ediliyor?
Egeşehir Sitesi, İzmir ili, Çiğli İlçesi, Küçük Çiğli Mahallesi ve 1056 ada, 1 parsel üzerinde inşa ediliyor.
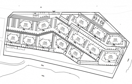
2) Egeşehir Sitesi kaç blok olarak inşa edilecek?
Egeşehir Sitesi projesinde 17 blok yer alacak.
3) Egeşehir Sitesi'nde kaç konut bulunuyor?
Egeşehir Sitesi'nde 551 konut yer alıyor.
4) Egeşehir Sitesi'nde kaç ticari alan bulunuyor?
Egeşehir Sitesi'nde 2 adet ticari birim yer alıyor.
5) Egeşehir Sitesi'nde kaç konut tipi var?
Egeşehir Sitesi'nde 2 adet konut tipi bulunuyor.

6) Egeşehir Sitesi'nde projesinde hangi konut tipleri yer alıyor?
Egeşehir Sitesi'nde 2+1 ve 3+1 konut tipi bulunuyor.
7) Egeşehir Sitesi projesinin arsa alanı kaç metrekare?
Egeşehir Sitesi 35 bin 995 metrekare arsa alanı üzerine inşa ediliyor.
8) Egeşehir Sitesi bloklarında hangi alanlar yer alıyor?
Proje kapsamındaki bloklarda konut haricinde, bodrum ve zemin katlarda, elektrik odası, sığınak, su deposu, ısı merkezi, hidrofor odası, telekom odası, çöp odası, depo gibi alanlar yer alacak.
9) Egeşehir Sitesi şehir merkezine ne kadar uzaklıkta?
Egeşehir Sitesi, şehir merkezine 11,6 kilometre, Çiğli ilçe merkezine 9,6 kilometre, Ulucak mahalle merkezine 4,5 kilometre, 9 Eylül mahalle merkezine 4 kilometre, Yamanlar mahalle merkezine 5,6 kilometre, İzmir Katip Çelebi Üniversitesi'ne 3,2 kilometre uzaklıkta yer alıyor.
10) Egeşehir Sitesi'nde kaç kişi yaşayacak?
Egeşehir Sitesi'nde 2.204 kişinin yaşaması ön görülüyor.

11) Egeşehir Sitesi'nin inşaatında kaç kişi çalışacak.
Egeşehir Sitesi projesinin inşaatında 50 kişinin çalışması hedefleniyor.
12) Egeşehir Sitesi kaç ayda teslim edilecek?
Egeşehir Sitesi'nde yer alan konutlar 18 ayda teslim edilecek?
13) Egeşehir Sitesi inşaatı ne zaman başlayacak?
Egeşehir Sitesi projesi için 'ÇED Gerekli Değildir' kararı alındıktan sonra inşaat çalışmalarına başlanacak.
14) Egeşehir Sitesi projesinin inşaat alanı ne kadar?
Egeşehir Sitesi 68 bin 222 metrekare inşaat alanına sahip.

15 ) Egeşehir Sitesi'nde yer alan konutlarda kaç kişi yaşayabilir?
Egeşehir Sitesi'nde yer alan bir konutta 4 kişilik aile yaşayabilir.
Emlak Konut GYO Vadi Evleri 2. Etap 15 soruda tüm detaylarıyla!
Adres: http://www.egesehirplanlama.com.tr/
Cansu Yılmaz/Emlakkulisi.com
