27 / 12 / 2025

Emlak Konut GYO İkitelli'de yeni projeye hazırlanıyor!

Emlak Konut GYO İkitelli'de yeni projeye hazırlanıyor!

Emlak Konut GYO, Başakşehir İkitelli'de 41 milyon 925 bin TL'ye satın aldığı arsasının değerleme raporunu yayınladı...


1.2 milyon TL'ye 190 metrekare net tarla! 600.000 TL peşin! 50.000 taksitle! Son 7 parsel!.


Emlak Konut Gayrimenkul Yatırım Ortaklığı (GYO), Kamuyu Aydınlatma Platformu'nda (KAP) İstanbul Başakşehir İkitelli değerleme raporu hakkında açıklama yaptı. 

1953 yılından beri İstanbul'un ve Türkiye'nin birçok ilinde sayısız projesi bulunan Emlak Konut GYO, dün İstanbul ili Başakşehir ilçesi İkitelli Mahallesi'ndeki 6502 metrekarelik arsayı satın aldığını açıklamıştı.

Dev şirket 1444 ada 1 parsel üzerinde bulunan arsa için 41 milyon 925 bin TL ödemişti. Arsa üzerinde yeni projeye başlamayı planlayan Emlak Konut GYO, değerleme raporunu yayınladı. 

Emlak Konut GYO İkitelli de yeni projeye hazırlanıyor! 

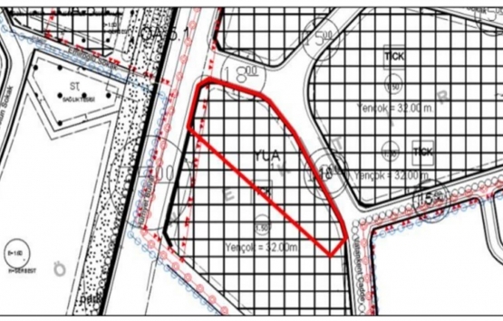
Rapora konu taşınmaz, TEM Otoyolu, Kuzey Marmara Otoyolu ve Kanuni Sultan Süleyman Caddesi üzerinde bulunuyor. Arsanın hemen yanında Başakşehir Belediyesi ve Devlet Hastanesi, Başakşehir Fatih Terim Stadyumu, Sular Vadisi Parkı, 4. Etap Tunahan Cami ve farklı nitelikte çok sayıda konut sitesi ve boş parseller yer alıyor.

İmar durumu:
Rapor konusu taşınmazın 21.02.2019 Tasdik Tarihli 1/1000 Ölçekli Başakşehir İlçesi, Başak Mah. Rezerv Yapı Alanına İlişkin Uygulama İmar Planı kapsamında Ticaret + Konut Alanı lejantlı bölgede konumlu olduğu bilgisi alınmıştır. 

Emlak Konut GYO İkitelli de yeni projeye hazırlanıyor! 

Emlak Konut GYO'nun KAP açıklaması:
İstanbul İli, Başakşehir İlçesi, İkitelli-1 Mahallesi'nde yer alan 1444 ada 1 parsel için hazırlatılan Gayrimenkul Değerleme Raporu ekte yer almaktadır.

Dosya için tıklayın 

Emlak Konut GYO Başakşehir'den arsa aldı!

 


Geri Dön