Ali Pehlivanoğlu Sitesi ile Torbalı'ya 697 konut geliyor! Yeni proje!
Firma: Ali Pehlivanoğlu İnşaat
Proje: Ali Pehlivanoğlu Sitesi
İzmir'in köklü market zinciri Pehlivanoğlu ailesinin kardeş şirketlerinden Ali Pehlivanoğlu'nun sahibi Ali Pehlivanoğlu Torbalı'da 697 konut yapacak...
İzmir'in köklü market zinciri Pehlivanoğlu ailesinin kardeş şirketlerinden Ali Pehlivanoğlu'nun sahibi Ali Pehlivanoğlu, Torbalı'da konumlandırdığı konut projesine başlıyor.
İzmir Torbalı'nın Türkmen Mahallesi'nde toplam 21 bin 138 metrekare arsa alanı üzerinde yükselecek Ali Pehlivanoğlu Sitesi Projesi, 75 milyon 671 bin 593 TL'ye mal olacak
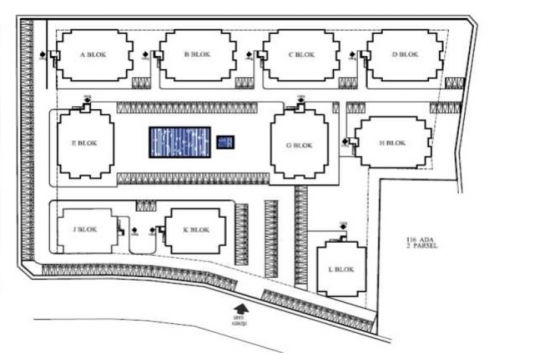
697 konut kapasiteli Ali Pehlivanoğlu Sitesi 10 bloktan meydana gelecek. Söz konusu bloklardan A-B-C-E bloklar, zemin ve zemin üzeri 7 kat olmak üzere toplam 8 kat olacak. Zemin katta 6 adet 1+1, 3 adet ise 2+1 daireye yer verilecek. Zemin üzerinde yer alacak 7 katta ise, 8 adet 1+1, 2 adet de 2+1 daire bulunacak. Dairelerin çatı kısmında, 2 adet asansör makine dairesi, kazan dairesi, 2 adet müşterek teras bulunacak. AB-C-E bloklarının toplam kapalı alanı 23 bin 364 metrekare olacak.
D-G-H bloklar ise bodrum, zemin ve zemin üzeri 7 kat olmak üzere toplam 9 kat olacak. Blokların bodrum katında 427,60 metrekarelik sığınak, bay-bayan ve engelli tuvaletleri, su deposu bulunacak. Zemin katta 1 adet kapıcı dairesi, 3 adet 1+1 daire, 4 adet ise 2+1 daire bulunacak. Zemin üstü 7 katta ise 4 adet 1+1,4 adet de 2+1 daire bulunacaktır. Dairelerin çatı kısmında, 2 adet asansör makine dairesi, kazan dairesi, 2 adet müşterek teras bulunacak. D-G-H bloklarının toplam kapalı alanı 19 bin 527 metrekare olacak.
K-J-L bloklar ise bodrum, zemin ve zemin üzeri 9 kat olmak üzere toplam 11 kat olacak. Blokların bodrum katında 156,17 metrekarelik sığınak, bay-bayan ve engelli tuvaletleri, su deposu ve hidrafor bulunacak. Zemin katta 1 adet kapıcı dairesi, 3 adet 2+1 daire, 1 adet ise 3+1 daire bulunacak. Zemin üstü 8 katta ise 1 adet 1+1, 3 adet 2+1 daire, 1 adet de 3+1 daire bulunacak. 9. Katta ise 2 adet 2+1 daire, 1 adet 3+1 daire bulunacaktır. Dairelerin çatı kısmında, 2 adet asansör makine dairesi, kazan dairesi, 2 adet müşterek teras bulunacak. K-J-L bloklarının toplam kapalı alanı 14.961,9 metrekare olacak.

Proje kapsamında, toplam 240 araç kapasiteli otopark inşa edilmesi planlanmakta olup, otopark konutların ön kısımlarında parsel içerisindeki bahçede yer alacak.
Yetişkin ve çocuk olmak üzere 2 havuzun da yer alacağı Ali Pehlivanoğlu Sitesi'nde toplam kapalı alanı 57 bin 852,9 metrekare olarak belirlendi.

Projenin inşaat çalışmalarına Bakanlık izni alındıktan sonra Temmuz ayında başlanması planlanıyor. Konutların, 2021'in sonunda teslim edilmesi planlanıyor.
http://alipehlivanoglu.com.tr/
Işıl Seren KESKİN/Emlakkulisi.com
