Ispartakule ve Tahtakale'nin imar planı askıya çıktı! 21 Mart'ta inecek!
Ispartakule Toplu Konut Alanına ait olan Avcılar Tahtakale Mahallesi'nin imar planı düzenlenerek yeniden askıya çıktı. 20 Şubat 2014'te askıya çıkan imar planı 21 Mart 2014 tarihinde askıdan inecek...

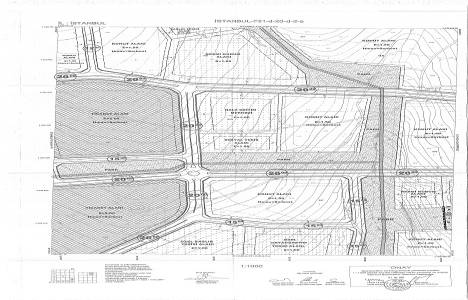
Ispartakule'ye komşu gecekonduların yer aldığı Avcılar Tahtakale Mahallesi'nin 1/5000 ve 1/1000 ölçekli imar planı yeniden askıya çıktı. Avcılar Tahtakale Mahallesi'nde kentsel dönüşüm TOKİ tarafından yapılacak.

Avcılar Tahtakale Mahallesi'nde Ispartakule Toplu Konut alanına ait alanlara ait imar planları 30 Eylül 2013 tarihinde askıya çıkmıştı. Ancak askı sürecinde yapılan itirazlar neticesinde planlar yeniden düzenlendi.

Bakanlık tarafından 24 Aralık 2013 tarihinde onaylanarak, 20 Şubat 2014 tarihinde yeniden askıya çıkarılan Avcılar Tahtakale Mahallesi imar planı, 21 Mart 2014 tarihinde askıdan inecek.

Avcılar Tahtakale Mahallesi kentsel dönüşüm kapsamında konut ve ticaret alanlarının yanı sıra, halk eğitim merkezi, sosyal tesis alanı, resmi kurum alanı, özel sağlık tesis alanı, okul öncesi eğitim alanı, ilköğretim ve ortaöğretim tesis alanı, dini tesis alanı, belediye hizmet alanı yer alıyor.
Avcılar Tahtakale Mahallesi içerisinde yer alan büyükçe bir alan, özel proje alanı olarak 8 Eylül 2012 tarihinde 28405 sayılı Resmi Gazete'de yayımlanmıştı. Sonrasında Çevre ve Şehircilik Bakanlığı tarafından 15 Kasım 2012 tarihinde "rezerv yapı alanı" olarak ilan edilmiş, 4 Ekim 2013 tarihinde "rezerv yapı alanı" dışına çıkarılmıştı.
Avcılar Tahtakale imar planı için tıklayın !