Kahramanmaraş Şekeroba'da tespit edilen nekropol alanı ve antik yerleşim yeri sit alanı oldu!
Kahramanmaraş Türkoğlu ilçesine bağlı Şekeroba Mahallesi Boztaş mevkiinde tespit edilen nekropol alanı ve antik yerleşim yeri sit alanı olarak tescil edildi. Karar bugün Resmi Gazete'de yayımlandı...
KÜLTÜR VARLIKLARI VE MÜZELER GENEL MÜDÜRLÜĞÜ
ADANA KÜLTÜR VARLIKLARINI
KORUMA BÖLGE KURULU
KARAR
46.06/69
TOPLANTI TARİHİ VE NO : 28.08.2014-112 TOPLANTI YERİ
KARAR TARİHİ VE NO : 28.08.2014-135 ADANA
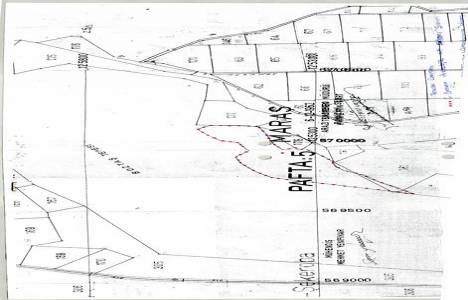
Kahramanmaraş İli, Türkoğlu İlçesi, Şekeroba Mahallesi, Boztaş mevkinde, tespit edilen nekropol alanı ve antik yerleşim yerinin 2863 sayılı yasa kapsamında tesciline ve öneri arkeolojik sit alanının etrafında ve yakın çevresinde maden işletme çalışması yapılıp-yapılamayacağına ilişkin Kahramanmaraş Valiliği İl Kültür ve Turizm Müdürlüğünün 21.07.2014 gün ve 2517 sayılı yazısı, Müze Müdürlüğü uzmanlarının 03.07.2014 günlü raporu okundu, ekleri ve işlem dosyası incelendi, yapılan görüşmeler sonunda;
Kahramanmaraş İli, Türkoğlu İlçesi, Şekeroba Mahallesi, Boztaş mevkinde, tespit edilen nekropol alanı ve antik yerleşim yerinin 2863 sayılı yasa kapsamında 1. derece arkeolojik sit alanı olarak tesciline, kararımız eki haritada gösterilen ve tespit ekibince önerilen arkeolojik sit alanı sınırlarının uygun olduğuna, sit alanı için 2863 sayılı yasanın 17. maddesine göre kararımız ekinde belirlenen Geçiş Dönemi Koruma Esasları ve Kullanma Koşullarının geçerli olduğuna, arkeolojik sit alanının etrafında ve yakın çevresinde maden işletme çalışması yapılıp-yapılamayacağına yönelik değerlendirmenin maden ocağı ruhsat sahası, işletme sahası ve sit alanı sınırlarının ilişkisinin gösterildiği koordinatlı harita örneğinin Kurulumuza iletilmesinden sonra yapılabilceğine karar verildi.
