Trabzon Sürmene'de koruma alanı ilan edildi!
Trabzon İli, Sürmene İlçesi, Soğuksu Mahallesi, Yol kenarı mevkiinde bulunan taşınmaz için koruma alanı kararı verildi. Karar bugünkü Resmi Gazete'de yayınlandı.
TRABZON KÜLTÜR VARLIKLARINI KORUMA BÖLGE KURULU KARAR
61.07/161
TOPLANTI TARİHİ VE NO : 27.05.2015-121 Toplantı Yeri
KARAR TARİHİ VE NO : 27.05.2015-2373 TRABZON
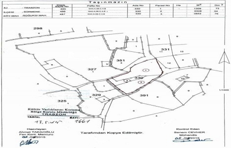
Trabzon İli, Sürmene İlçesi, Soğuksu Mahallesi, Yol kenarı mevkii 330 ada 2 ve 3 parsellerde yer alan konut ve çeşmenin 2863 sayılı yasa kapsamında değerlendirilmesi, 330 ada 1 parselde de yer alan tescilli taşınmazın koruma alanının belirlenmesi isteğine ilişkin ilgilisinin 19,03.2015 günlü başvurusu, Trabzon Kültür ve Tabiat Varlıklarını Koruma Kurulunun 16.05.1991 gün ve 1003 sayılı kararı ile Sürmene Kaymakamlığı Tapu Müdürlüğünün 24.04,2015 gün 305434 sayılı yazısı Sürmene İlçesi Belediye Başkanlığı İmar ve Şehircilik Müdürlüğünün 24.04.2015 gün ve 343 sayılı yazısı ve Sürmene Kaymakamlığı Kadastro biriminin 05.05.2015 gün ve 351273 sayılı yazısı ve Trabzon Kültür Varlıklarını Koruma Kurulunun 07.04.2015 gün ve 1222 sayıyla kayıtlı uzman raporu okundu ekleri ve dosyası incelendi, yapılan görüşmeler sonunda;
Trabzon İli, Sürmene İlçesi, Soğuksu Mahallesi, Yolkenarı mevkii 330 ada 2 ve 3 parsellerde yer alan konut olarak kullanılan taşınmazın 2863 sayılı yasa kapsamında tesciline gerek olmadığı,330 ada, 3 parselde bulunan çeşmenin 2863 sayılı kanunun 6. maddesi kapsamında kaldığından Kültür Varlığı olarak tescil edilmesine, 330 ada, l parselde bulunan tescilli taşınmazla birlikte çeşmenin koruma alanının kararımız ekinde dağıtımı yapılan kadastral planda işaretlendiği şekilde belirlenmesine, çeşmenin koruma grubunun I tescilli taşınmaz olan konutun koruma grubunun ise II olduğuna, Tescilli taşınmazlarda ve koruma alanlarında yapılacak her türlü uygulamalar öncesi kurulumuzdan izin alınmasına karar verildi.
