Balıkesir Abraz'daki 191-192 adaya 3. Derece Arkeolojik Sit Alanı kararı!
Balıkesir ili, Marmara ilçesi, Saraylar, Abraz mevkiinde 191 ve 192 adanın bazı parsellerini kapsayan alanın 3. Derece Arkeolojik Sit olarak tesciline karar verildi. Karar bugünkü Resmi Gazete'de yayımlanarak yürürlüğe girdi.
İşte o karar;
Bursa Kültür Varlıklarını Koruma Bölge Kurulu
KARARI
10.17.244
Toplantı Tarihi ve No : 01.11.2014/173 Toplantı Yeri
Karar Tarihi ve No : 01.11.2014/3818 BURSA
Balıkesir ili, Marmara ilçesi, Saraylar, Abraz mevkiinde Bandırma Müzesi Müdürlüğü uzmanları tarafından gerçekleştirilen tespit çalışmasına ilişkin alınan Kurulumuzun 17.06.2014/3301 sayılı kararı doğrultusunda Bandırma Müzesi Müdürlüğü tarafından yapılan açıklamalar doğrultusunda konunun değerlendirilmesine ilişkin Balıkesir Valiliği İl Kültür ve Turizm Müdürlüğünün 16.10.2014 gün ve 3924 sayılı yazısı ile Müdürlüğün 23.10.2014 gün ve 5616 sayılı raporu okundu, ekleri ve ilgili dosyası incelendi, yapılan görüşmeler sonucunda;
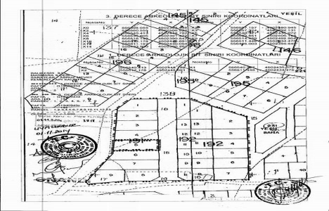
Balıkesir ili, Marmara ilçesi, Saraylar, Abraz mevkiinde Bandırma Müzesi Müdürlüğü uzmanları tarafından gerçekleştirilen tespit çalışmasına ilişkin alınan Kurulumuzun 17.06.2014/3301 sayılı kararı doğrultusunda Bandırma Müzesi Müdürlüğü tarafından yapılan açıklamalar doğrultusunda, bölgenin aynı zamanda 3. derece Doğal sit alanında bulunması da dikkate alınarak K.T.V.K.Y.K.’nun 05.11.1999/658 sayılı İlke Kararı gereğince, üzerinde 2863 sayılı Kanun kapsamındaki kemerli yapı kalıntısı bulunan 191 ada-5 parselin 1.derece Arkeolojik Sit olarak, çevresindeki söz konusu yapıyla ve Prokonnessos Antik Kentiyle ilişkili kalıntılara rastlanılması olasılığı bulunan 191 ada- 1, 2, 3, 4, 6, 7, 8, 9 ve 192 ada- 1, 2, 3, 4, 5, 6, 7, 8, 9, 10, 11, 12, 13 parselleri kapsayan alanın 3.derece Arkeolojik Sit olarak tesciline karar verildi.
