Egeşehir Sitesi geliyor! Yeni proje!
Firma: Egeşehir Yapı Planlama
Proje: Egeşehir Sitesi
Egeşehir Sitesi projesi için düğmeye basıldı. Projede 551 adet konut ve 2 adet dükkan yer alacak.
Egeşehir Yapı Planlama, yeni projesi Egeşehir Sitesi için düğmeye bastı. Projede 551 adet konut ve 2 adet dükkan yer alacak.
Çevresel Etki Değerlendirmesi (ÇED) sürecinin başladığı Egeşehir Sitesi 130 milyon 82 bin TL'ye mal olacak.

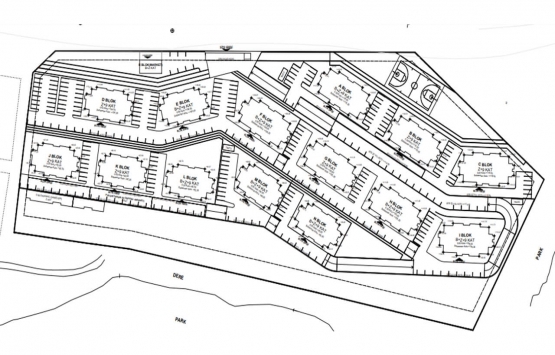
Egeşehir Sitesi İzmir ili, Çiğli İlçesi, Küçük Çiğli Mahallesi ve 1056 ada, 1 parsel üzerinde hayata geçirilecek.
İnşaat alanı 68 bin 222 metrekare olarak belirlenen Egeşehir Sitesi 35 bin 995 metrekarelik arsa alanı üzerinde inşa edilecek. Projede 2 oda 1 salon ve 3 oda 1 salon daire tipleri yer alacak.

Çiğli Egeşehir Sitesi'nde A, B, C, D, E, F, G, H, I, J, K, L, M, N, O, P, R olmak üzere on yedi adet blok yer alacak. Proje kapsamındaki A, B, C, D, E, F, G, H, I, J, K, L, M, N bloklarında konutlar, O blokta kapıcı daireleri, P blokta yangın su deposu ve market, R blokta ise market yer alacak.
Egeşehir Sitesi projesi için 'ÇED Gerekli Değildir' kararı alındıktan sonra inşaat çalışmalarına başlanacak. Projenin inşaatının 18 ayda tamamlanması planlanıyor.

Egeşehir Sitesi, şehir merkezine 11,6 kilometre, Çiğli ilçe merkezine 9,6 kilometre, Ulucak mahalle merkezine 4,5 kilometre, 9 Eylül mahalle merkezine 4 kilometre, Yamanlar mahalle merkezine 5,6 kilometre, İzmir Katip Çelebi Üniversitesi'ne 3,2 kilometre mesafede yer alıyor.
Proje kapsamındaki bloklarda konut haricinde, bodrum ve zemin katlarda, elektrik odası, sığınak, su deposu, ısı merkezi, hidrofor odası, telekom odası, çöp odası, depo gibi alanlar yer alacak. Projenin inşaat çalışmaları sırasında 50 kişinin çalışması planlanıyor.

Egeşehir Sitesi, her bir konutta maksimum 4 kişinin yaşayacağı hesaplanarak projelendirildi. Bu doğrultuda projede toplam 2.204 kişinin konaklaması planlanıyor.
Park Yaşam Bornova satışta! Yeni proje!
Egeşehir Sitesi 15 soruda tüm detaylarıyla!
Web: http://www.egesehirplanlama.com.tr/
Ceren YÖRÜK/Emlakkulisi.com
