Egeşehir Sitesi fiyat!
Firma: Egeşehir Yapı Planlama
Proje: Egeşehir Sitesi
Egeşehir Sitesi fiyat bilgisi haberimizde yer alıyor. İşte Egeşehir Sitesi fiyat bilgisi ve projeyle ilgili merak edilen detaylar...
Yeni projeler için start veren Egeşehir Yapı Planlama, yeni projesini İzmir Çiğli'de inşa edecek. Egeşehir Sitesi adıyla yükselecek olan proje 130 milyon 82 bin TL'ye mal olacak.
Egeşehir Sitesi fiyat!
Egeşehir Sitesi fiyat bilgisi haberimizde yer alıyor. Egeşehir Sitesi fiyat bilgisi hakkında bilgi vermeden önce proje detaylarına değinelim.
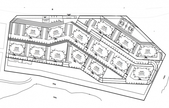
Çiğli Egeşehir Sitesi'nde 551 adet konut ve 2 adet dükkana yer veriliyor. Proje ile ilgili merak edilen tüm detaylar belli oldu.

Çevresel Etki Değerlendirmesi (ÇED) sürecinin başladığı Egeşehir Sitesi projesinde yer alan konutlar 2 oda 1 salon ve 3 oda 1 salon olarak tasarlandı. Projenin inşaat alanı 68 bin 222 metrekare, arsa alanı ise 35 bin 995 metrekare şeklinde belirlendi.
Egeşehir Sitesi fiyat!
Egeşehir Sitesi fiyat bilgisi haberimizde yer alıyor. Egeşehir Sitesi fiyat bilgisi hakkında bilgi vermeden önce proje detaylarına değinelim.
Egeşehir Sitesi'nde 17 adet bloka yer veriliyor. Proje kapsamındaki A, B, C, D, E, F, G, H, I, J, K, L, M, N bloklarında konutlar, O blokta kapıcı daireleri, P blokta yangın su deposu ve market, R blokta ise market yer alacak.

Çiğli Egeşehir Sitesi projesi için 'ÇED Gerekli Değildir' kararı alındıktan sonra inşaat çalışmaları başlayacak. Egeşehir Sitesi'nin inşaatının 18 ayda tamamlanması planlanıyor.
Egeşehir Sitesi nerede inşa ediliyor?
Egeşehir Sitesi nerede inşa ediliyor sorusuna proje Çiğli ilçe merkezine 9,6 kilometre, Yamanlar mahalle merkezine 5,6 kilometre, şehir merkezine 11,6 kilometre, Ulucak mahalle merkezine 4,5 kilometre, 9 Eylül mahalle merkezine 4 kilometre, İzmir Katip Çelebi Üniversitesi'ne 3,2 kilometre uzaklıkta yükseliyor cevabını verebiliriz.
Egeşehir Sitesi'ndeki bloklarda konut dışında, bodrum ve zemin katlarda, sığınak, hidrofor odası, depo, su deposu, ısı merkezi, elektrik odası, telekom odası, çöp odası gibi alanlar bulunuyor. Projenin inşaatında 50 kişi çalışacak.
Egeşehir Yapı Planlama Egeşehir Sitesi projesinde toplam 2.204 kişinin yaşaması planlanıyor.

Çiğli Egeşehir Sitesi nerede?
Egeşehir Sitesi İzmir ili, Çiğli İlçesi, Küçük Çiğli Mahallesi ve 1056 ada, 1 parsel üzerinde inşa edilecek.
Egeşehir Sitesi fiyat!
Egeşehir Sitesi fiyat bilgisi henüz belli olmadı. Egeşehir Sitesi fiyat bilgisi açıklanır açıklanmaz Türkiye'nin ilk ve tek emlak haberleri sitesi Emlakkulisi.com'da yer alacak.
Egeşehir Sitesi 15 soruda tüm detaylarıyla!
Web: http://www.egesehirplanlama.com.tr/
Ceren YÖRÜK/Emlakkulisi.com
