Egeşehir Yapı Egeşehir Sitesi fiyatları!
Firma: Egeşehir Yapı Planlama
Proje: Egeşehir Sitesi
Egeşehir Yapı Egeşehir Sitesi fiyatları haberimizde yer alıyor. İşte Egeşehir Yapı Egeşehir Sitesi fiyatları ve proje detayları...
Yeni yatırımlar için kolları sıvayan Egeşehir Yapı Planlama, yeni projesini İzmir Çiğli'de hayata geçiriyor. Egeşehir Yapı Planlama'nın yeni projesi Egeşehir Sitesi adıyla yükselecek.
130 milyon 82 bin TL'ye mal olacak Egeşehir Yapı Egeşehir Sitesi projesi ile ilgili detaylar belli oldu.
Egeşehir Yapı Egeşehir Sitesi fiyatları!
Egeşehir Yapı Egeşehir Sitesi fiyatları haberimizde yer alıyor. Egeşehir Yapı Egeşehir Sitesi fiyatları hakkında bilgi vermeden önce proje detaylarına değinelim.

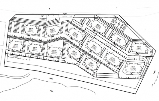
Egeşehir Yapı Egeşehir Sitesi'nde toplam 551 adet konut ve 2 adet dükkan bulunuyor. Çevresel Etki Değerlendirmesi (ÇED) sürecinin başladığı projedeki konutlar 2+1 ve 3+1 şeklinde tasarlandı.
Çiğli Egeşehir Sitesi'nin arsa alanı 35 bin 995 metrekare, inşaat alanı 68 bin 222 metrekare olarak belirlendi.
Egeşehir Yapı Egeşehir Sitesi fiyatları!
Egeşehir Yapı Egeşehir Sitesi fiyatları haberimizde yer alıyor. Egeşehir Yapı Egeşehir Sitesi fiyatları hakkında bilgi vermeden önce proje detaylarına değinelim.
Tüm detayların netleştiği Egeşehir Sitesi'nde toplam 17 adet bloka bulunuyor. Projedeki A, B, C, D, E, F, G, H, I, J, K, L, M, N bloklarında konutlar, O blokta kapıcı daireleri, P blokta yangın su deposu ve market, R blokta ise market bulunuyor.

Egeşehir Yapı Egeşehir Sitesi projesi için 'ÇED Gerekli Değildir' kararı alındıktan sonra projenin inşaatı başlayacak. Lokasyonuyla dikkat çeken Egeşehir'in inşaatının 18 ayda tamamlanması hedefleniyor.
Egeşehir nerede inşa ediliyor?
Egeşehir projesi; Ulucak mahalle merkezine 4,5 kilometre, şehir merkezine 11,6 kilometre, 9 Eylül mahalle merkezine 4 kilometre, İzmir Katip Çelebi Üniversitesi'ne 3,2 kilometre, Çiğli ilçe merkezine 9,6 kilometre, Yamanlar mahalle merkezine 5,6 kilometre mesafede yer alıyor. Projede toplam 2.204 kişinin yaşaması planlanıyor.

Çiğli Egeşehir Sitesi lokasyon bilgisi
Egeşehir Sitesi İzmir ili, Çiğli İlçesi, Küçük Çiğli Mahallesi ve 1056
ada, 1 parsel üzerinde yükselecek.
Egeşehir Yapı Egeşehir Sitesi fiyatları!
Egeşehir Yapı Egeşehir Sitesi fiyatları henüz belli olmadı. Egeşehir Yapı Egeşehir Sitesi fiyatları açıklanır açıklanmaz Türkiye'nin ilk ve tek emlak haberleri sitesi Emlakkulisi.com'da yer alacak.
Egeşehir Sitesi 15 soruda tüm detaylarıyla!
Web: http://www.egesehirplanlama.com.tr/
Ceren YÖRÜK/Emlakkulisi.com
