Egeşehir Sitesi nerede?
Firma: Egeşehir Yapı Planlama
Proje: Egeşehir Sitesi
Egeşehir Sitesi nerede sorusunun yanıtı haberimizde yer alıyor. İşte Egeşehir Sitesi nerede sorusunun yanıtı ve projeyle ilgili merak edilen detaylar...
Yeni yatırımlar için düğmeye basan Egeşehir Yapı Planlama, yeni projesini Çiğli'de hayata geçirecek.
Egeşehir Sitesi adıyla yükselecek olan projede 551 adet konut ve 2 adet dükkan yer alacak. Proje 130 milyon 82 bin TL'ye mal olacak.
Egeşehir Sitesi nerede?
Egeşehir Sitesi nerede sorusunun yanıtı haberimizde yer alıyor. Egeşehir Sitesi nerede sorusunun yanıtı hakkında bilgi vermeden önce proje detaylarına değinelim.
Çevresel Etki Değerlendirmesi (ÇED) sürecinin başladığı Egeşehir Sitesi projesinde 2+1 ve 3+1 daireler yer alacak. Egeşehir Sitesinin inşaat alanı 68 bin 222 metrekare, arsa alanı ise 35 bin 995 metrekare olarak belirlendi.

Egeşehir Sitesi nerede?
Egeşehir Sitesi nerede sorusunun yanıtı haberimizde yer alıyor. Egeşehir Sitesi nerede sorusunun yanıtı hakkında bilgi vermeden önce proje detaylarına değinelim.
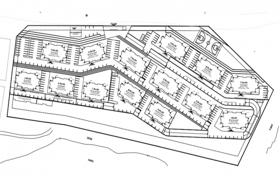
Egeşehir Sitesi'nde A, B, C, D, E, F, G, H, I, J, K, L, M, N, O, P, R olmak üzere 17 adet bloka yer veriliyor. Projede yer alan A, B, C, D, E, F, G, H, I, J, K, L, M, N bloklarında konutlar, O blokta kapıcı daireleri, P blokta yangın su deposu ve market, R blokta ise market bulunacak.

Detayların belli olduğu Egeşehir Sitesi projesi için 'ÇED Gerekli Değildir' kararı alındıktan sonra inşaat çalışmalarına başlanacak. Projenin inşaatının 18 ayda tamamlanması hedefleniyor.
Egeşehir Sitesi nerede?
Egeşehir Sitesi nerede sorusuna proje şehir merkezine 11,6 kilometre, Çiğli ilçe merkezine 9,6 kilometre, Yamanlar mahalle merkezine 5,6 kilometre, 9 Eylül mahalle merkezine 4 kilometre, Ulucak mahalle merkezine 4,5 kilometre, İzmir Katip Çelebi Üniversitesi'ne 3,2 kilometre uzaklıkta yükseliyor yanıtını verebiliriz.
Egeşehir Sitesi'nde yer alan bloklarda konut haricinde, bodrum ve zemin katlarda, sığınak, ısı merkezi, elektrik odası, hidrofor odası, su deposu, telekom odası, çöp odası, depo gibi alanlara yer verilecek. Egeşehir projesinin inşaatında 50 kişinin çalışması planlanıyor.

Egeşehir Yapı Planlama Egeşehir Sitesi, her bir konutta maksimum 4 kişinin yaşayacağı hesaplanarak projelendirildi. Bu doğrultuda projede toplam 2.204 kişinin yaşaması planlanıyor..
Egeşehir Sitesi nerede?
Egeşehir Sitesi İzmir ili, Çiğli İlçesi, Küçük Çiğli Mahallesi ve 1056 ada, 1 parsel üzerinde hayata geçirilecek.
Egeşehir Sitesi geliyor! Yeni proje!
Egeşehir Sitesi 15 soruda tüm detaylarıyla!
Web: http://www.egesehirplanlama.com.tr/
Ceren YÖRÜK/Emlakkulisi.com
