Trabzon Konaklar Kilisesi'ne koruma alanı kararı!
Trabzon ili, Ortahisar İlçesi, Konaklar mahallesi, sit alanı dışında kalan Konaklar Kilisesi koruma alanı olarak belirlendi. Karar bugünkü resmi gazetede yayınlandı.
TRABZON KÜLTÜR VARLIKLARINI KORUMA BÖLGE KURULU
KARAR
61.00/394-1255
TOPLANTI TARİHİ VE NO : 27.05.2015-121 Toplantı Yeri
KARAR TARİHİ VE NO : 27.05.2015-2385 TRABZON
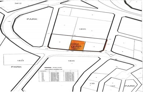
Trabzon ili, Ortahisar İlçesi, Konaklar mahallesi, sit alanı dışında, G43B01B1D pafta, 1855 ada 5 parsel üzerindeki tescil kaydı süren Konaklar Kilisesi'nin koruma alanının belirlenmesi ile söz konusu tescilli kilise bitişiğinde yer alan G43B01B1D pafta, 1855 ada, 4 parsel üzerinde yapılmak istenen uygulama talebine ilişkin Trabzon Doğalgaz Tic. Ltd. Şirketi'nin 24/04/2015 tarihli başvurusu, Trabzon Kültür ve Tabiat Varlıklarını Koruma Kurulu'nun 20/11/1993 gün ve 1833 sayılı, Trabzon Kültür ve Tabiat Varlıklarını Koruma Bölge Kurulu'nun 31/05/2006 gün ve 659 sayılı, 31/10/2006 gün ve 852 sayılı, 29/03/2007 gün ve 1049 sayılı, Trabzon Kültür Varlıklarını Koruma Bölge Kurulu'nun 26/06/2013 gün ve 1271 sayılı. 29/01/2014 gün ve 1585 sayılı ile 16/04/2014 gün ve 1728 sayılı kararları ile Trabzon Kültür Varlıklarını Koruma Bölge Kurulu Müdürlüğünce hazırlanan 26/05/2015 gün ve 2015/367 sayılı uzman raporu okundu, ekleri ve dosyası incelendi, yerinde yapılan görüşmeler sonucunda;
Trabzon ili, Ortahisar İlçesi, Konaklar mahallesi, sit alanı dışında, G43B01B1D pafta, 1855 ada 5 parsel üzerindeki tescil kaydı süren Konaklar Kilisesi'nin koruma alanının ekte dağıtımı yapılan 1/1000 ölçekli kadastral planda görüldüğü gibi ve 1855 ada, 4, 5, 6 parseller ile 3 parselin güneyde kalan bir bölümünü kapsayacak şekilde belirlenmesine, 1855 ada, 4 parsel koruma alanı içinde kaldığından, parselde yapılmak istenen her türlü uygulamanın Kurulumuz görüşüne sunulması gerektiğine karar verildi.
